ZONING AMENDMENT APPLICATION NO. D14-01/26
THE CORPORATION OF THE TOWN OF BRACEBRIDGE
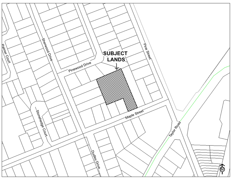
ROLL NUMBERS 4418 040 002 052 13 & 4418 040 002 058 00
EXPLANATION OF THE PURPOSE AND EFFECT OF THE PROPOSED ZONING BY-LAW:
The zoning amendment proposes to amend the Town of Bracebridge’s Comprehensive Zoning By-law 2016-088 by changing the zoning on a portion of the subject lands from the present zone of Environmental Protection One (EP1) to Institutional (I). The zoning amendment is required to facilitate a condition for the purchase of surplus lands from the Town of Bracebridge by the adjacent public utility being Lakeland Power and Bracebridge Generation.
The zoning amendment is supported by an Environmental Impact Brief prepared for the application to reduce the extent of the current Environmental Protection One (EP1) zone on the subject lands to only include the environmental features and constraints present as well as the associated buffers, such as steep slopes and an existing watercourse.
Permitted uses in the Institutional (I) zone include Arena, Assembly Hall, Cemetery, Day Nursery, Dormitory, Emergency Service Depot, Fitness Centre, Hospital, Library, Long-Term Care Home, Place of Worship, Public Housing, Public Office, Public Works Yard, Recreational Facilities, Retirement Home and School.
Permitted uses in the Environmental Protection One (EP1) zone includes existing building and structures, which there are none on the proposed retained Environmental Protection One (EP1).
No new development is proposed as part of the purchase of the subject lands.
KEY PLAN SHOWING LOCATION OF THE LANDS TO WHICH PROPOSED BY-LAW APPLIES:


